maladie laurier rose (depigmentation, decoloration .....
-
indalo19
- Graine de timide
- Messages : 14
- Inscription : ven. 01 août 2008 10:47
- Région : Rhone Alpes
- Localisation : Lyon
maladie laurier rose (depigmentation, decoloration .....
Bonjour
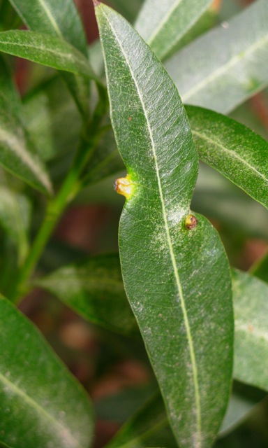
J'ai un laurier rose en pot de puis 3 ans et depuis l'automne dernier peu à peu mon laurier a commencé a ce dépigmenterr, les feuilles ont perdue leur couleur, elles sont maintenant kaki ou jaunâtre sans forcement tomber énormément (mais j'ai tout de même eu une forte chutes des feuille du bas il y a 1 an), et un autre problème quand les fleurs bourgeonnes et quand on commence à voir la couleur des fleurs elles n'arrivent jamais à eclorent et ensuite sèche, de toute façon j'ai les photos qui montrent tout ce que je vient de dire;j'ai d'abort penser au acariens car j'en avait déjà eu sur des tomates il y a 2 ans mais à l'époque sur les feuilles de tomates les acariens se voyaient mais là rien, je voie aucun insecte à moin qu'ils soit microscopiques
, voila mon gros problème j'aurai vraiment besoin de votre aide car je craint que mon laurier rose ne survive
Merci par avance





J'ai un laurier rose en pot de puis 3 ans et depuis l'automne dernier peu à peu mon laurier a commencé a ce dépigmenterr, les feuilles ont perdue leur couleur, elles sont maintenant kaki ou jaunâtre sans forcement tomber énormément (mais j'ai tout de même eu une forte chutes des feuille du bas il y a 1 an), et un autre problème quand les fleurs bourgeonnes et quand on commence à voir la couleur des fleurs elles n'arrivent jamais à eclorent et ensuite sèche, de toute façon j'ai les photos qui montrent tout ce que je vient de dire;j'ai d'abort penser au acariens car j'en avait déjà eu sur des tomates il y a 2 ans mais à l'époque sur les feuilles de tomates les acariens se voyaient mais là rien, je voie aucun insecte à moin qu'ils soit microscopiques
Merci par avance





- - Piero
- Roi du massif
- Messages : 12139
- Inscription : lun. 28 févr. 2005 12:53
- Région : Midi-Pyrénées
- Localisation : albi tarn
Re: maladie laurier rose (depigmentation, decoloration .....
je pensais aussi aux acariens (qui sont difficilement visibles a l oeil nu sauf invasion importante)
regarde y quand meme avec une loupe ou autre
et tu habites où ? (merci de la rajouter a ton profil)
en pot depuis 3 ans : tu l as rempoté , rajouter de la terre neuve, du compost autre ?
regarde y quand meme avec une loupe ou autre
et tu habites où ? (merci de la rajouter a ton profil)
en pot depuis 3 ans : tu l as rempoté , rajouter de la terre neuve, du compost autre ?
Merci d utiliser la fonction rechercher avant de poster un nouveau message
-
indalo19
- Graine de timide
- Messages : 14
- Inscription : ven. 01 août 2008 10:47
- Région : Rhone Alpes
- Localisation : Lyon
Re: maladie laurier rose (depigmentation, decoloration .....
Merci pour la réponse
Et ben non je l'ai rempoté il y a seulement 1 mois avant je ne l'avais jamais fais pour l'instant pas de changement c'est vrai que c'est un peu tôt pour voir la différance mais j’ai toujours apporté de l’engrais, mais est ce du à ca ? Sinon du purin d'orthie ou de la bouillie bordelaise pourrait faire quelques choses? Pour les acariens et ben je vais regarder avec une loupe si je trouve de ces petites bestioles et pareil du purin d'orthie ou de la bouillie bordelaise peuvent les tuer si c’est ca ?
Et ben non je l'ai rempoté il y a seulement 1 mois avant je ne l'avais jamais fais pour l'instant pas de changement c'est vrai que c'est un peu tôt pour voir la différance mais j’ai toujours apporté de l’engrais, mais est ce du à ca ? Sinon du purin d'orthie ou de la bouillie bordelaise pourrait faire quelques choses? Pour les acariens et ben je vais regarder avec une loupe si je trouve de ces petites bestioles et pareil du purin d'orthie ou de la bouillie bordelaise peuvent les tuer si c’est ca ?
- Arwenn
- Fleur de pipelette
- Messages : 633
- Inscription : dim. 14 mai 2006 13:49
- Région : Midi-Pyrénées
- Localisation : Cugnaux - Haute-Garonne 31
Re: maladie laurier rose (depigmentation, decoloration .....
Bonjour,
L'arroses tu beaucoup ?
L'arroses tu beaucoup ?
"C'est une triste chose de penser que la nature parle et que le genre humain n'écoute pas" V.Hugo (1802-1885) -liste d'échange ici - Blog
-
indalo19
- Graine de timide
- Messages : 14
- Inscription : ven. 01 août 2008 10:47
- Région : Rhone Alpes
- Localisation : Lyon
Re: maladie laurier rose (depigmentation, decoloration .....
Bonjour
et bien je l'arrose toutes les semaines/toutes les semaines et demi
et bien je l'arrose toutes les semaines/toutes les semaines et demi
- - Piero
- Roi du massif
- Messages : 12139
- Inscription : lun. 28 févr. 2005 12:53
- Région : Midi-Pyrénées
- Localisation : albi tarn
Re: maladie laurier rose (depigmentation, decoloration .....
ce que je sais c est que le laurier rose pousse en pleine terre dans des terres pauvres et sèches mais en pot ?
purin d ortie : en gros c est un engrais azoté qui peurt repousser certains insectes mais a priori pas les acariens
bouillie bordelaise : c est preventif contre les maladies cryptogamique donc pas adpaté non plus
pour moi aucun de ces 2 produits ne servira a quelque chose pour l instant
je ne sais que te dire d autres
purin d ortie : en gros c est un engrais azoté qui peurt repousser certains insectes mais a priori pas les acariens
bouillie bordelaise : c est preventif contre les maladies cryptogamique donc pas adpaté non plus
pour moi aucun de ces 2 produits ne servira a quelque chose pour l instant
je ne sais que te dire d autres
Merci d utiliser la fonction rechercher avant de poster un nouveau message
-
jardin espagnol
- Graine de timide
- Messages : 6
- Inscription : sam. 20 juin 2009 10:27
- Région : France zone Océan Indien
Re: maladie laurier rose (depigmentation, decoloration .....
Bonjour,
D'apres mon experience, le laurier-rose ne necessite pas de soin, ni d'arrosage copieux. J'ai une amie qui a eu aussi des problemes avec son laurier-rose et le probleme c'est qu'elle le soignait trop. Trop d'engrais, trop d'eau. Depuis, elle a delaisse un peu sa plante, qui se porte mieux.
Ton laurier-rose a du avoir un choc lors de sa transplantation, trop de difference entre son ancien terreau et le nouveau.
Je vis en espagne et les laurier-roses poussent sauvages dans des endoits le plus desert, sans soin et ils sont magnifiques.
J'espere que tu pourras sauver ta plante.
Caroline
D'apres mon experience, le laurier-rose ne necessite pas de soin, ni d'arrosage copieux. J'ai une amie qui a eu aussi des problemes avec son laurier-rose et le probleme c'est qu'elle le soignait trop. Trop d'engrais, trop d'eau. Depuis, elle a delaisse un peu sa plante, qui se porte mieux.
Ton laurier-rose a du avoir un choc lors de sa transplantation, trop de difference entre son ancien terreau et le nouveau.
Je vis en espagne et les laurier-roses poussent sauvages dans des endoits le plus desert, sans soin et ils sont magnifiques.
J'espere que tu pourras sauver ta plante.
Caroline
- loup blanc
- Fleur de pipelette
- Messages : 661
- Inscription : ven. 19 juin 2009 15:01
- Région : Languedoc Roussillon
- Localisation : Hérault
Re: maladie laurier rose (depigmentation, decoloration .....
Bonjour,
d'après ce que je peux voir sur les photos et d'après la petite expérience que j'ai, il me semble que tes lauriers cumulent deux problèmes :
les traces noirâtres, les ponctuations sur les feuilles pourraient être dues à des insectes piqueurs-suçeurs comme les pucerons. Ils sont à l'origine des colorations noirâtres résultat du développement d'un champignon (fumagine) sur le miellat (liquide sucré dont les fourmis usent) des pucerons. Aurais-tu vu la présence de pucerons ?
Les déformations et avortements des fleurs peuvent être dus à un chancre bactérien causant des malformation des tiges et empêchant le laurier de faire ses fleurs.
Pour les pucerons, il suffit de laver ton ou tes lauriers. Utilise aussi du savon noir de marseille dilué pour traiter lorsque tu vois des pucerons. C'est un traitement sans danger
Pour le chancre bactérien, d'après ce que m'avait répondu un collègue de la protection des végétaux, il faut traiter avec du cuivre produit utilisé pour les vignes. Je n'ai pas eu l'expérience sur le sujet mais il est possible que cela fonctionne puisque l'on m'a redit la même chose d'autres fois.
Arrosage : en pleine terre une fois par semaine suffit (quand il fait sec)
Soignes les biens, bonne chance
d'après ce que je peux voir sur les photos et d'après la petite expérience que j'ai, il me semble que tes lauriers cumulent deux problèmes :
les traces noirâtres, les ponctuations sur les feuilles pourraient être dues à des insectes piqueurs-suçeurs comme les pucerons. Ils sont à l'origine des colorations noirâtres résultat du développement d'un champignon (fumagine) sur le miellat (liquide sucré dont les fourmis usent) des pucerons. Aurais-tu vu la présence de pucerons ?
Les déformations et avortements des fleurs peuvent être dus à un chancre bactérien causant des malformation des tiges et empêchant le laurier de faire ses fleurs.
Pour les pucerons, il suffit de laver ton ou tes lauriers. Utilise aussi du savon noir de marseille dilué pour traiter lorsque tu vois des pucerons. C'est un traitement sans danger
Pour le chancre bactérien, d'après ce que m'avait répondu un collègue de la protection des végétaux, il faut traiter avec du cuivre produit utilisé pour les vignes. Je n'ai pas eu l'expérience sur le sujet mais il est possible que cela fonctionne puisque l'on m'a redit la même chose d'autres fois.
Arrosage : en pleine terre une fois par semaine suffit (quand il fait sec)
Soignes les biens, bonne chance
Le forestier voyageur au chevet des arbres
"Tout ce que tu fais à la terre, c'est à toi que tu le fais"
"Tout ce que tu fais à la terre, c'est à toi que tu le fais"
-
indy
- Graine de timide
- Messages : 3
- Inscription : jeu. 03 sept. 2009 9:17
- Région : Provence Alpes Côte d'Azur
Re: maladie laurier rose (depigmentation, decoloration .....
bonjour
message pour indalo19 et les autres si qqun veut bien me répondre.
j'ai exactement le même problème avec mes lauriers roses, nous avons acheté une maison, sommes à st raphael dans le var, il y avait une haie de lauriers tout en fouillie, nous avons donc tout coupé afin qu'ils repoussent mieux, tout c'est bien passé jusqu'au début de l'été où est apparu de nombreux pucerons jaune/orange, que nous avons traité 2 fois, cela a fonctionné, mais depuis 1 semaine les feuilles sont exactement comme sur le photos de indalo19,
nous avons déjà eu des lauriers dans nos différentes habitations et mon père étant agriculteur donc habitué aux différentes maladies, nous n'avions jamais vu cela.
je voulais donc savoir si les conseils donnés ont fonctionné ?
merci à tous, Tony
message pour indalo19 et les autres si qqun veut bien me répondre.
j'ai exactement le même problème avec mes lauriers roses, nous avons acheté une maison, sommes à st raphael dans le var, il y avait une haie de lauriers tout en fouillie, nous avons donc tout coupé afin qu'ils repoussent mieux, tout c'est bien passé jusqu'au début de l'été où est apparu de nombreux pucerons jaune/orange, que nous avons traité 2 fois, cela a fonctionné, mais depuis 1 semaine les feuilles sont exactement comme sur le photos de indalo19,
nous avons déjà eu des lauriers dans nos différentes habitations et mon père étant agriculteur donc habitué aux différentes maladies, nous n'avions jamais vu cela.
je voulais donc savoir si les conseils donnés ont fonctionné ?
merci à tous, Tony
- ekthoplasmette
- Graine de timide
- Messages : 7
- Inscription : jeu. 03 sept. 2009 15:42
- Région : Ile de France
Re: maladie laurier rose (depigmentation, decoloration .....
bonjour, j'ai moi aussi ce probleme et j'habite dans le 92!
j'ai déménagé l'année dernière et il y avait un laurier rose tout déplumé dans le jardin...
je l'ai taillé court au printemps, il a très bien repris mais depuis env. 2semaines les feuilles se sont toutes depigmentées exactement comme sur les photos.
j'ai cru voir sur le mien des araignées rouges? (en fait oranges) microscopiques, j'ai tenté hier une pulvérisation d'anti-acarien.....
Si quelqu'un a une autre idée je suis aussi preneuse...
Merci... je tatonne...
j'ai déménagé l'année dernière et il y avait un laurier rose tout déplumé dans le jardin...
je l'ai taillé court au printemps, il a très bien repris mais depuis env. 2semaines les feuilles se sont toutes depigmentées exactement comme sur les photos.
j'ai cru voir sur le mien des araignées rouges? (en fait oranges) microscopiques, j'ai tenté hier une pulvérisation d'anti-acarien.....
Si quelqu'un a une autre idée je suis aussi preneuse...
Merci... je tatonne...
- ekthoplasmette
- Graine de timide
- Messages : 7
- Inscription : jeu. 03 sept. 2009 15:42
- Région : Ile de France
Re: maladie laurier rose (depigmentation, decoloration .....
Je voudrais juste rajouter une petite précision...
Je viens de bien regarder et il y a sur quelques feuilles comme des cloques très dures, qui pointent vers le haut. En fait, on dirait plutôt des cratères, pas très nombreux et d'environ 5-6 mm de large. J'ai pris des photos. Si vous pouvez m'aider,vous, les pros du jardins!!!
j'attends vos conseils avec impatience...
Je viens de bien regarder et il y a sur quelques feuilles comme des cloques très dures, qui pointent vers le haut. En fait, on dirait plutôt des cratères, pas très nombreux et d'environ 5-6 mm de large. J'ai pris des photos. Si vous pouvez m'aider,vous, les pros du jardins!!!
j'attends vos conseils avec impatience...
- ekthoplasmette
- Graine de timide
- Messages : 7
- Inscription : jeu. 03 sept. 2009 15:42
- Région : Ile de France
Re: maladie laurier rose (depigmentation, decoloration .....
bon, c'est nul, mes photos sont toutes petites.... on ne voit rien .... 
- Arwenn
- Fleur de pipelette
- Messages : 633
- Inscription : dim. 14 mai 2006 13:49
- Région : Midi-Pyrénées
- Localisation : Cugnaux - Haute-Garonne 31
Re: maladie laurier rose (depigmentation, decoloration .....
ekthoplasmette a écrit :bon, c'est nul, mes photos sont toutes petites.... on ne voit rien ....
Je pencherais pour le chancre du laurier rose.
"C'est une triste chose de penser que la nature parle et que le genre humain n'écoute pas" V.Hugo (1802-1885) -liste d'échange ici - Blog
- ekthoplasmette
- Graine de timide
- Messages : 7
- Inscription : jeu. 03 sept. 2009 15:42
- Région : Ile de France
Re: maladie laurier rose (depigmentation, decoloration .....
Merci Arwenn pour ta réponse,
j'ai regardé l'écorce de près et elle a l'air normale, alors je doute un peu pour le chancre, mais bon...
et il y a cette dépigmentation, c'est bizarre.
En tout cas, si c'est un chancre, avec toute la pluie qu'on a en ce moment, ça ne va rien arranger! (enfin, ça arrose le jardin...
)
j'ai regardé l'écorce de près et elle a l'air normale, alors je doute un peu pour le chancre, mais bon...
et il y a cette dépigmentation, c'est bizarre.
En tout cas, si c'est un chancre, avec toute la pluie qu'on a en ce moment, ça ne va rien arranger! (enfin, ça arrose le jardin...
-
indy
- Graine de timide
- Messages : 3
- Inscription : jeu. 03 sept. 2009 9:17
- Région : Provence Alpes Côte d'Azur
Re: maladie laurier rose (depigmentation, decoloration .....
bjr
oui on voit bien les photos en cliquant dessus, par contre pour l'instant moi je n'ai aps de cloques, juste les feuilles dépigmentées, apparemment personne ne sait ce que c'est ?
j'espère que qqun saura....
merci à tous
oui on voit bien les photos en cliquant dessus, par contre pour l'instant moi je n'ai aps de cloques, juste les feuilles dépigmentées, apparemment personne ne sait ce que c'est ?
j'espère que qqun saura....
merci à tous
- loup blanc
- Fleur de pipelette
- Messages : 661
- Inscription : ven. 19 juin 2009 15:01
- Région : Languedoc Roussillon
- Localisation : Hérault
Re: maladie laurier rose (depigmentation, decoloration .....
Bonjour,
les déformations que l'on voit sur les photos 1,2 et 4 sont dues au chancre bactérien. Cela n'a rien à voir avec un excès d'humidité car ce n'est pas un champignon mais une bactérie. Lors de demandes de renseignements auprès de personnes plus habituées, on m'avait suggéré le traitement au cuivre (bouilie bordelaise). Je ne sais si cela fonctionne mais c'est du domaine du possible. En tout cas, vous pouvez toujours tailler pour éliminer mais en prenant soin de désinfecter vos outils entre chaque plants (alcool à brûler ou produit spécifique vendu dans établissement spécialisé).
Pour ce qui est des pucerons (couleur orangé), leur présence est liée à la pluie et favorisée par les fourmis qui utilisent le miellat pour nourrir leurs larves. En échange, elles assurent leur protection contre tout prédateur comme les coccinelles. En traitement, le savon noir dilué convient même s'il faut repasser une ou deux fois. Pour ma part, je lave à l'eau (douche) les pucerons. Cela en élimine une bonne partie et est très écolo.
Bon traitement
Pierre
les déformations que l'on voit sur les photos 1,2 et 4 sont dues au chancre bactérien. Cela n'a rien à voir avec un excès d'humidité car ce n'est pas un champignon mais une bactérie. Lors de demandes de renseignements auprès de personnes plus habituées, on m'avait suggéré le traitement au cuivre (bouilie bordelaise). Je ne sais si cela fonctionne mais c'est du domaine du possible. En tout cas, vous pouvez toujours tailler pour éliminer mais en prenant soin de désinfecter vos outils entre chaque plants (alcool à brûler ou produit spécifique vendu dans établissement spécialisé).
Pour ce qui est des pucerons (couleur orangé), leur présence est liée à la pluie et favorisée par les fourmis qui utilisent le miellat pour nourrir leurs larves. En échange, elles assurent leur protection contre tout prédateur comme les coccinelles. En traitement, le savon noir dilué convient même s'il faut repasser une ou deux fois. Pour ma part, je lave à l'eau (douche) les pucerons. Cela en élimine une bonne partie et est très écolo.
Bon traitement
Pierre
Le forestier voyageur au chevet des arbres
"Tout ce que tu fais à la terre, c'est à toi que tu le fais"
"Tout ce que tu fais à la terre, c'est à toi que tu le fais"
- ekthoplasmette
- Graine de timide
- Messages : 7
- Inscription : jeu. 03 sept. 2009 15:42
- Région : Ile de France
Re: maladie laurier rose (depigmentation, decoloration .....
Sur les conseils du jardinier de la jardinerie près de chez moi.... j'ai tenté aujourd'hui une pulvérisation d'anti-acariens (selon lui la dépigmentation serait sans aucun doute due à çà)
Si tu es interressé , Indy, je pourrais te donner des nouvelles de mon laurier plus tard...
Et toi? As-tu fait quelque chose?
A +
Charlotte
Si tu es interressé , Indy, je pourrais te donner des nouvelles de mon laurier plus tard...
Et toi? As-tu fait quelque chose?
A +
Charlotte
-
indy
- Graine de timide
- Messages : 3
- Inscription : jeu. 03 sept. 2009 9:17
- Région : Provence Alpes Côte d'Azur
Re: maladie laurier rose (depigmentation, decoloration .....
coucou charlotte
merci j'aimerai bien savoir si cela a fonctionné et en cas me dire avec quoi as-tu traité.
de mon côté je n'ai rien fait car il a plu pas mal ya 10 jours, j'attend de voir mais pour l'instant ça a l'air d'aller, la situation n'a pas changé du moins pas d'aggravation.
tiens moi au courant, merci
indy
merci j'aimerai bien savoir si cela a fonctionné et en cas me dire avec quoi as-tu traité.
de mon côté je n'ai rien fait car il a plu pas mal ya 10 jours, j'attend de voir mais pour l'instant ça a l'air d'aller, la situation n'a pas changé du moins pas d'aggravation.
tiens moi au courant, merci
indy
- ekthoplasmette
- Graine de timide
- Messages : 7
- Inscription : jeu. 03 sept. 2009 15:42
- Région : Ile de France
Re: maladie laurier rose (depigmentation, decoloration .....
Pour l'instant, RAS
A suivre...
A suivre...
-
jenny-jenny
- Graine de timide
- Messages : 1
- Inscription : jeu. 15 avr. 2010 14:18
- Région : Provence Alpes Côte d'Azur
Re: maladie laurier rose (depigmentation, decoloration .....
bonjour!
j'habite à marseille et j'ai exactement le même problème.
Je suis complètement démunie car je n'arrive pas à identifier cette maladie. Du coup, pas de diagnostic, pas de traitement.
Quelqu'un aurait-il obtenu des réponses ou constaté une amélioration après un quelconque traitement depuis les derniers messages??? si oui, pouvez-vous m'en tenir informée svp?
Merci d'avance!
j'habite à marseille et j'ai exactement le même problème.
Je suis complètement démunie car je n'arrive pas à identifier cette maladie. Du coup, pas de diagnostic, pas de traitement.
Quelqu'un aurait-il obtenu des réponses ou constaté une amélioration après un quelconque traitement depuis les derniers messages??? si oui, pouvez-vous m'en tenir informée svp?
Merci d'avance!
Re: maladie laurier rose (depigmentation, decoloration .....
Salut,
J'ai la même maladie sur mon laurier et j'ai aussi les pieds de tomate qui sont atteints du symptôme, j'ai traité avec d'abord avec du souffre qui à semblé retardé(répété 3 oui 4 fois)
puis je suis passé au savon mais après une impression de mieux ça reprend!!!!
Merci de vos réponses
J'ai la même maladie sur mon laurier et j'ai aussi les pieds de tomate qui sont atteints du symptôme, j'ai traité avec d'abord avec du souffre qui à semblé retardé(répété 3 oui 4 fois)
puis je suis passé au savon mais après une impression de mieux ça reprend!!!!
Merci de vos réponses
Re: maladie laurier rose (depigmentation, decoloration .....
Ah oui je tenais aussi à ajouter que ma clématite aussi je l'avait oubliée car toute les feuille étaient tombées, je la croyait morte et elle repart!
J'aimerai qu'elle ce soit ^pour de bon, alors help me!
J'aimerai qu'elle ce soit ^pour de bon, alors help me!
-
topazze
- Graine de timide
- Messages : 1
- Inscription : sam. 17 sept. 2016 15:33
- Région : Provence Alpes Côte d'Azur
Re: maladie laurier rose (depigmentation, decoloration .....
bonjour,
Mon post est peut être tardif mais vos messages m'ont interpellée.
J'ai le même problème avec mes 2 magnifiques lauriers-roses et même les bébés que j'essayais de faire pousser. Alors que je les achetées magnifiques et fleuries, quelques mois après toutes les feuilles se sont dépigmentées et devenaient blanchies. Beaucoup de feuilles sont tombées.
Après avoir glané des conseils à droite et à gauche auprès des professionnels, on m'a parlé des araignées rouges (acariens microscopiques qui ne se voit pas à l'œil nu, ni avec la loupe que j'ai acheté d'ailleurs), j'ai acheté tous les produits conseillés, également la sacro-sainte bouillie bordelaise, savon noir, et autres recettes de grand-mère... même les quelques petites feuilles qui poussaient étaient toutes blanchies...
J'avais l'intention de tout couper, puis quelqu'un m'a dit qu'il suffisait de pulvériser d'eau tout simplement car les araignées rouges détestaient l'eau. Les araignées rouges s'installent quand il fait très chaud...
J'habite Marseille et effectivement, l'année dernière année canicule, il a fait très chaud, l'état des lauriers roses étaient catastrophiques. Cette année aussi...
Puis depuis juillet, je pulvérise tous les soirs et... au bout d'une semaine - 15 jours j'ai constaté la pousse de petites feuilles bien vertes... un peu partout, sur les 2 lauriers roses, pour les jeunes lauriers-rose aussi.
Ils sont sauvés...
L'arrosage et pulvérisation d'eau fraiche le soir ont fait fuir les araignées rouges et les nouvelles feuilles sont bien vertes et en pleine santé. Ils refleurissent de plus belles.
J'inspecte les lauriers roses tous les jours... maintenant en septembre, j'espace les pulvérisations, seulement 2 fois par semaine et tout va bien...
Vos lauriers roses ont peut être le même problème que les miens. Donc pensez l'arrosage et pulvérisation à l'eau pur sans produit...
J'espère que mon expérience vous servira...
Marie
Mon post est peut être tardif mais vos messages m'ont interpellée.
J'ai le même problème avec mes 2 magnifiques lauriers-roses et même les bébés que j'essayais de faire pousser. Alors que je les achetées magnifiques et fleuries, quelques mois après toutes les feuilles se sont dépigmentées et devenaient blanchies. Beaucoup de feuilles sont tombées.
Après avoir glané des conseils à droite et à gauche auprès des professionnels, on m'a parlé des araignées rouges (acariens microscopiques qui ne se voit pas à l'œil nu, ni avec la loupe que j'ai acheté d'ailleurs), j'ai acheté tous les produits conseillés, également la sacro-sainte bouillie bordelaise, savon noir, et autres recettes de grand-mère... même les quelques petites feuilles qui poussaient étaient toutes blanchies...
J'avais l'intention de tout couper, puis quelqu'un m'a dit qu'il suffisait de pulvériser d'eau tout simplement car les araignées rouges détestaient l'eau. Les araignées rouges s'installent quand il fait très chaud...
J'habite Marseille et effectivement, l'année dernière année canicule, il a fait très chaud, l'état des lauriers roses étaient catastrophiques. Cette année aussi...
Puis depuis juillet, je pulvérise tous les soirs et... au bout d'une semaine - 15 jours j'ai constaté la pousse de petites feuilles bien vertes... un peu partout, sur les 2 lauriers roses, pour les jeunes lauriers-rose aussi.
Ils sont sauvés...
L'arrosage et pulvérisation d'eau fraiche le soir ont fait fuir les araignées rouges et les nouvelles feuilles sont bien vertes et en pleine santé. Ils refleurissent de plus belles.
J'inspecte les lauriers roses tous les jours... maintenant en septembre, j'espace les pulvérisations, seulement 2 fois par semaine et tout va bien...
Vos lauriers roses ont peut être le même problème que les miens. Donc pensez l'arrosage et pulvérisation à l'eau pur sans produit...
J'espère que mon expérience vous servira...
Marie
