Fracture phalange patte de chien

Voici un petit espace réservé aux animaux domestiques.
Avatar de l’utilisateur
juste_moi
Bourgeon de bavard
Messages : 104
Inscription : sam. 20 oct. 2007 17:29
Localisation : Essonne 91

Fracture phalange patte de chien

Message par juste_moi »

Bonjour à tous et à toutes

Voilà ma petite histoire :

Il y a 4 semaine en rentrant samedi soir je découvre des traces de sang par terre ainsi que la patte avant droite de ma chienne couverte de sang à moitié sec. De plus elle boitait légèrement et on sentait qu’une de ses griffe avait un problème. Tout de suite désinfectant plus surveillance.

Mes parents gérant les dépenses véto, je leur en parle et me dise d’attendre un peu voir si ça ne s’améliore pas tout seul. Bon ok, étant en cours toute la semaine je me contente de surveiller tous les soirs (désinfection, produit pour ne pas qu’elle se lèche) Le boitement reste. :(

Le week-end on va donc enfin chez le véto qui nous dit penser à une infection. Donc antibio + anti-inflammatoire + collerette + repos + surveillance + bain de patte désinfectant (pour le plus grands bonheur de la boule de poils). Le tout pendant 10 jours.

Ma chienne ne boitait plus :) , mais quelques jours après l’arrêt des médocs elle recommence à boiter légèrement et le phénomène augmente… :( De nouveau je dois attendre le vendredi pour pouvoir l’emmener chez le véto.

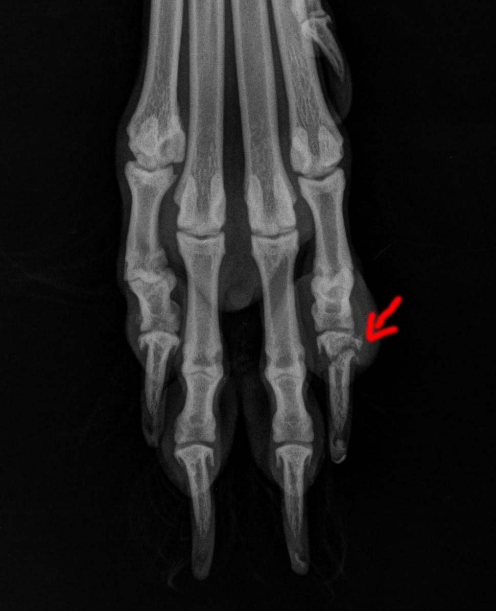
Là, la même véto (une très sympas qui ne nous a pas fait payer la consultation car pour le même problème. J’apprécie). Elle lui fait faire une radio de la patte. Verdict :

Fracture de la dernière phalange

De nouveau anti-inflammatoire + bain de patte pour garder le tout propre + repos total (le plus dur car elle est très vive quand elle ne dors pas) pendant 2 semaines et nouvelle visite pour voir si ça va mieux. Le problème résidant dans le fait que c’est une zone qu’ils ne peuvent pas plâtrer ni opérer car pas super pratique (à ce que j’ai compris). Si ça ne va toujours pas mieux il faudra envisager de lui amputer le doigt.

Mais voilà quand il s’agit de ma chienne j’ai tendance a vite paniquer, j’aimerais donc savoir si vous avez connu une situation similaire et comment cela c’était terminer. Car voilà après 4 semaines on voit bien sur la radio que la fracture est encore bien présente. Je ne suis pas la la journée en semaine et je sais que ma mère ne surveille pas ma chienne (du jore si le facteur sonne elle lâche ma chienne qui va courir après et sauter les 4 marches de la devanture de la maison… :angryfire: ya mieux comme repos total). Je sais qu’un chien peut très bien vivre avec un doigt en moins mais une opération me fait quand même un peu peur…

De plus même si elle semble aller mieux, mange correctement boiter moins, comme elle ne sent plus la douleur (je pense) elle joue le soir (on l'en empèche, elle se sent punie mais c pour son bien, même si ça fait mal au coeur) je voit bien qu'elle n'est pas dans son état normal... Elle a de grands moment en mode amorphe avec des yeux supliant... c dur a supporter...

C un peu long comme post mais j'aimerais vraiment trouver quelqu'un qui a connu une situation similaire...

Bien amicalement

---
Katia

Enfin voilà mon petit stress du moment…
Pièces jointes
01- sept 2009 (03) b.jpg
Un proverbe chinois dit que généralement, quand on ne sait pas quoi dire, on site un proverbe chinois...
Avatar de l’utilisateur
CATWOMAN
Fleur de pipelette
Messages : 558
Inscription : lun. 13 avr. 2009 17:30
Région : Ile de France
Localisation : sud seine et marne

Re: Fracture phalange patte de chien

Message par CATWOMAN »

Désolé, je n'ai jamais connu cette situation avec mon chien, mais par contre je sais qu'"il faut un maximum de repos et éviter que ton chien ne court ou ne fasse le fou, sinon cela sera long à se consolider
bon courage, car c'est vrai qu'on s'inquiète tellement pour eux
Avatar de l’utilisateur
Papé
Graine de timide
Messages : 86
Inscription : sam. 11 avr. 2009 18:23
Région : Auvergne

Re: Fracture phalange patte de chien

Message par Papé »

des nouvelles de cette fracture ?? STP
mon jardin bio et mes lévriers
sauvons les galgos et les podencos espagnols
Avatar de l’utilisateur
juste_moi
Bourgeon de bavard
Messages : 104
Inscription : sam. 20 oct. 2007 17:29
Localisation : Essonne 91

Re: Fracture phalange patte de chien

Message par juste_moi »

Bonjour

Concernant ma chienne, on a arrété le traitement samedi soir et depuis on surveille qu'elle ne se remette pas à boiter tout en continuant de la garder au repos (ce qui est de plus en plus dur).

Pour le moment tjrs pas de boiterie, encore une petite tendance le soir a s'assoire sur trois patte (habitude ou petite douleur du à la fatigue de la journée ?)

Donc pour le moment pas de retour chez le véto et haute surveillance.

Ouf

Je décompresse ^^

Merci pour votre intéret.

Amicalement

Katia
Un proverbe chinois dit que généralement, quand on ne sait pas quoi dire, on site un proverbe chinois...
Répondre

Revenir à « Aux animaux domestiques »