Trou dans des feuilles de chèvrefeuille

Déposez ici une photo de la plante atteinte, nous essayerons de vous aider à identifier le problème pour mieux le combattre.
hleroy
Graine de timide
Messages : 2
Inscription : dim. 01 août 2010 17:49
Région : Ile de France

Trou dans des feuilles de chèvrefeuille

Message par hleroy »

Bonjour,

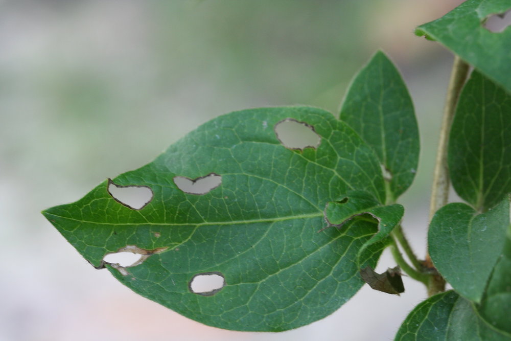
J'aimerais savoir ce qui cause ces trous (voir photo) dans les feuilles de mes chèvrefeuilles et quels sont les traitements possibles (de préférence naturels). Une feuille sur trois est atteinte et les chèvrefeuilles en question sont tout jeunes (plantés cette année).

Merci d'avance

Hervé
IMG_6311.JPG
IMG_6310.JPG
Avatar de l’utilisateur
dagda
Prince du jardin
Messages : 9998
Inscription : mar. 20 avr. 2004 10:48
Région : Basse-Normandie
Localisation : un breton en normandie

Re: Trou dans des feuilles de chèvrefeuille

Message par dagda »

bonjour,
essaie de voir si ce ne sont pas des limaces, regarde sous le pot ou sous la terre, ce ne sont pas forcément les grosses oranges cela peut être de petites noires qui sont très discrètes d'uatnt qu'elles sortent surtout la nuit :wink:
la nature ne fait jamais rien au hasard !
fanypépinièriste
Graine de timide
Messages : 13
Inscription : lun. 09 août 2010 13:11
Région : Rhone Alpes

Re: Trou dans des feuilles de chèvrefeuille

Message par fanypépinièriste »

sa peut être aussi de l'otiorhynque, une bête dans le substrat qui ne se voit pas, à tuer car détruit la plante en mengeant également les racines.
il faut arroser avec du confidor (c'est le nom de la substance active), ou CURATER G1 de Bayer ou PSILATOX de Fertiligène...
hleroy
Graine de timide
Messages : 2
Inscription : dim. 01 août 2010 17:49
Région : Ile de France

Re: Trou dans des feuilles de chèvrefeuille

Message par hleroy »

Merci à tous les deux pour vos réponses.

@dagda: J'ai cherché des limaces mais sans succès pour l'instant. Quelle est la taille des limaces noires dont tu parles ? Ce qui m'étonne, c'est que même des feuilles assez haut dans le chèvrefeuille sont atteintes. Je me dis que, pour une limace, ca ne doit pas être évident de grimper à 1,50m de la racine pour grignoter une petite feuille, aussi tendre soit elle ;-) Qu'en penses tu?

@fanypépinièriste: Je vais regarder à nouveau pour voir s'il y a une attaque au niveau du collet et si je vois la nuit les otiorhynques adultes (j'ai trouvé des photos sur Google...). Je ne voudrais pas commencer à traiter si ce n'est pas çà.
Répondre

Revenir à « Identification d'une maladie ou d'un parasite »