Insectes sur citronniers
Insectes sur citronniers
Bonjour,
Ne trouvant pas de réponse à mes questions, je viens vers vous en espérant que vous allez pouvoir éclairer ma lanterne.
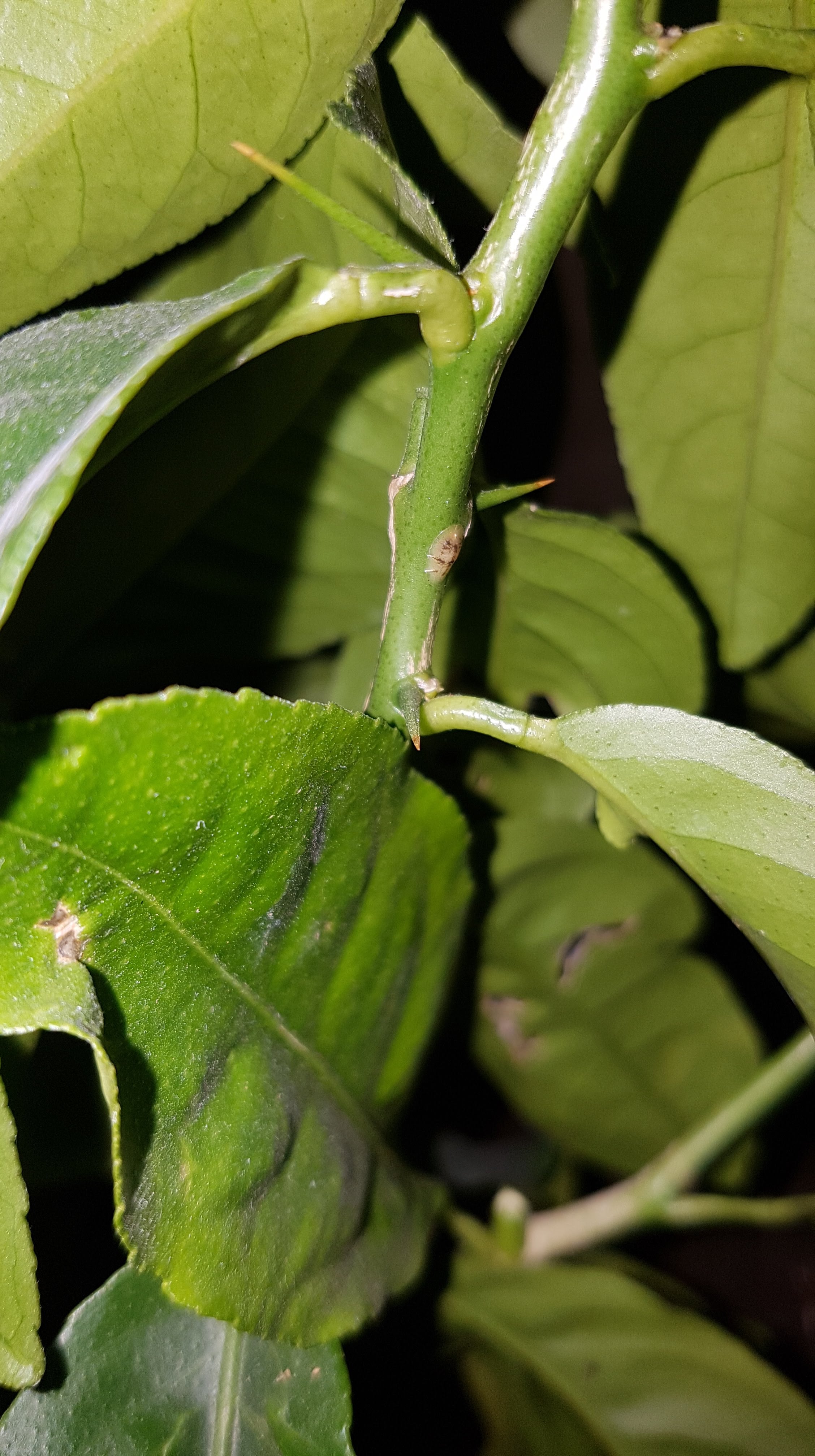
Je vous présente mes citronniers issu de semi, ils sont dans des pots de 20L en tissu avec un substrat spéciale agrume. Je n'ai pas osé les mettre dans l'abri extérieur ne sachant pas si les températures pourraient être négatives sous abri. Ils ont donc passé l'hiver entre 16 et 18°C... Il y a environ un mois, j'ai remarqué sur le citronnier à côté de l'avocat des minuscules araignées blanches et des toiles sur et entre les feuilles mais aucune araignée sur l'avocat. J'ai nettoyé le citronnier avec un chiffon humide mais un mois après les voila de retour... Seriez-vous le nom des ces petites bêtes ? Récemment, j'ai trouvé ces insectes étranges collés aux branches des trois citronniers. Je compte les nettoyé au savon noir mais j'aimerais bien savoir de quoi il s'agit pour mieux protéger mes citronniers. Le trait rouge montre une araignée. Au plaisir de vous lire.
Ne trouvant pas de réponse à mes questions, je viens vers vous en espérant que vous allez pouvoir éclairer ma lanterne.
Je vous présente mes citronniers issu de semi, ils sont dans des pots de 20L en tissu avec un substrat spéciale agrume. Je n'ai pas osé les mettre dans l'abri extérieur ne sachant pas si les températures pourraient être négatives sous abri. Ils ont donc passé l'hiver entre 16 et 18°C... Il y a environ un mois, j'ai remarqué sur le citronnier à côté de l'avocat des minuscules araignées blanches et des toiles sur et entre les feuilles mais aucune araignée sur l'avocat. J'ai nettoyé le citronnier avec un chiffon humide mais un mois après les voila de retour... Seriez-vous le nom des ces petites bêtes ? Récemment, j'ai trouvé ces insectes étranges collés aux branches des trois citronniers. Je compte les nettoyé au savon noir mais j'aimerais bien savoir de quoi il s'agit pour mieux protéger mes citronniers. Le trait rouge montre une araignée. Au plaisir de vous lire.
- bourru07
- Empereur jardinier
- Messages : 22412
- Inscription : sam. 03 août 2013 13:36
- Région : Languedoc Roussillon
- Localisation : Ardèche cévenole méridionale . 350m. Zone de l'olivier.
Re: Insectes sur citronniers
Sur les photos n° 20190220 et 20190221 c'est de la cochenille à bouclier...
Passer pour un idiot, aux yeux des imbéciles, est un plaisir de fin gourmet... Georges Courteline
Échanger des photos de belles sauvages rencontrées en balade
Échanger des photos de belles sauvages rencontrées en balade
-
Nicole37n
- Prince du jardin
- Messages : 10178
- Inscription : ven. 13 avr. 2007 22:59
- Région : Poitou Charentes
- Localisation : Deux-sèvres
Re: Insectes sur citronniers
Les petites bêtes blanches me font penser à des aleurodes, des pestes difficiles à éradiquer. et comme dit bourru, des cochenilles.
J'utilise un mélange d'huile de paraffine, savon et coca en respectant bien les proportions, dessus et dessous les feuilles :
viewtopic.php?f=76&t=185184&hilit=mouche+du+poireau
En principe une fois par an suffit pour les cochenilles.
J'utilise un mélange d'huile de paraffine, savon et coca en respectant bien les proportions, dessus et dessous les feuilles :
viewtopic.php?f=76&t=185184&hilit=mouche+du+poireau
En principe une fois par an suffit pour les cochenilles.
Nicole
Re: Insectes sur citronniers
Je vais essayer ce mélange dès demain.
Pour les aleurodes, si c'est ça pour le moment je n'ai pas vu d'adulte. Sur la photo n°20190113, les bêtes blanches bougeaient assez vite sur la toile et elles ne semblent pas avoir d'ailes mais des pattes.
Pour les aleurodes, si c'est ça pour le moment je n'ai pas vu d'adulte. Sur la photo n°20190113, les bêtes blanches bougeaient assez vite sur la toile et elles ne semblent pas avoir d'ailes mais des pattes.
-
Nicole37n
- Prince du jardin
- Messages : 10178
- Inscription : ven. 13 avr. 2007 22:59
- Région : Poitou Charentes
- Localisation : Deux-sèvres
Re: Insectes sur citronniers
Si pas d'aile, c'est pas des aleurodes.
La sauce devrait déranger pas mal de bêtes.
La sauce devrait déranger pas mal de bêtes.
Nicole
Re: Insectes sur citronniers
J'ai pulvérisé abondamment mes citronniers hier avec le mélange. Par contre n'ayant pas trouvé d'huile de paraffine, je l'ai remplacé par de l'huile de colza.
Ce traitement tue les cochenilles ou agit-il en répulsif ?
Au bout de combien de temps dois-je m'inquiéter s'il y a toujours des cochenilles sur mes citronniers ?
Ce traitement tue les cochenilles ou agit-il en répulsif ?
Au bout de combien de temps dois-je m'inquiéter s'il y a toujours des cochenilles sur mes citronniers ?
-
Nicole37n
- Prince du jardin
- Messages : 10178
- Inscription : ven. 13 avr. 2007 22:59
- Région : Poitou Charentes
- Localisation : Deux-sèvres
Re: Insectes sur citronniers
Ce mélange tue les cochenilles mais les citronniers n'aiment pas l'huile de colza ou autre de table.
Nicole
Re: Insectes sur citronniers
Ha mince
Que risquent mes citronniers ? Faut-il que je les nettoie ?
-
Nicole37n
- Prince du jardin
- Messages : 10178
- Inscription : ven. 13 avr. 2007 22:59
- Région : Poitou Charentes
- Localisation : Deux-sèvres
Re: Insectes sur citronniers
Je suis ennuyée de te dire oui, et guère possible de le faire au jet en cette saison.
Nettoyer qqs feuilles au moins, dans qqs jours pour améliorer la photosynthèse.
Tant qu'à nettoyer le faire à l'alcool sur un tissu humidifié à l'eau, la plant ne s'en sentira pas mal.
Nettoyer qqs feuilles au moins, dans qqs jours pour améliorer la photosynthèse.
Tant qu'à nettoyer le faire à l'alcool sur un tissu humidifié à l'eau, la plant ne s'en sentira pas mal.
Nicole
