Actuellement en foret, merci de votre aide
Règles du forum
Nous vous recommandons d'être critique et très vigilant vis à vis des identifications notamment pour les champignons ou une confirmation par un pharmacien est recommandé. De par sa nature de forum, nous ne pouvons pas confirmer la validité des informations soumises.
Par ailleurs nous vous invitons à lire les tutos de ce forum avant toute demande d'identification. Merci
Nous vous recommandons d'être critique et très vigilant vis à vis des identifications notamment pour les champignons ou une confirmation par un pharmacien est recommandé. De par sa nature de forum, nous ne pouvons pas confirmer la validité des informations soumises.
Par ailleurs nous vous invitons à lire les tutos de ce forum avant toute demande d'identification. Merci
Actuellement en foret, merci de votre aide
Bonjour, je suis actuellement en foret ( maroc) , il y a enormement de plantes difderentes mais voici quelques photos de plantes qui m'intriguent. Si vous avez les noms... Merci beaucoup.
Nb : il y a 2 plantes differentes
Nb : il y a 2 plantes differentes
- chiru
- Grossiste en parlotte
- Messages : 3722
- Inscription : ven. 27 févr. 2004 22:54
- Région : Champagne Ardenne
- Localisation : Ardennes
Re: Actuellement en foret, merci de votre aide
Bonjour
La photo avec les fleurs un solanum sans doute ces fleur sont assez typiques du genre je dirais peut-être solanum linnaeanum
Après un peu mal avec les photos du mal à voir les plantes
Je laisse les autres identifier ils ont une meilleure vu que moi


La photo avec les fleurs un solanum sans doute ces fleur sont assez typiques du genre je dirais peut-être solanum linnaeanum
Après un peu mal avec les photos du mal à voir les plantes
Je laisse les autres identifier ils ont une meilleure vu que moi
Cordialement David.
http://l-herboriste.over-blog.fr/
http://l-herboriste.over-blog.fr/
- chiru
- Grossiste en parlotte
- Messages : 3722
- Inscription : ven. 27 févr. 2004 22:54
- Région : Champagne Ardenne
- Localisation : Ardennes
Re: Actuellement en foret, merci de votre aide
Après pour celle celle-ci je pense à genista a cause des cosses j'arrive pas a distinguer les feuilles
Cordialement David.
http://l-herboriste.over-blog.fr/
http://l-herboriste.over-blog.fr/
Re: Actuellement en foret, merci de votre aide
Bonjour david, merci pour les reponses.
Alors pour le solanum, après recherche d'autres images sur internet je pense que c'est bien ca... Les fruits ressemble de l'exterieur a de petites pastèques.
Par contre pour le genista je ne sais pas trop. Les autres photos sur internet les montre en fleurs et je n'ai pas pu en voir en fleur. J'ai ouvert les petites cosses, il y a deux ou 3 petites graines vertes applaties a l'interieur.
Alors pour le solanum, après recherche d'autres images sur internet je pense que c'est bien ca... Les fruits ressemble de l'exterieur a de petites pastèques.
Par contre pour le genista je ne sais pas trop. Les autres photos sur internet les montre en fleurs et je n'ai pas pu en voir en fleur. J'ai ouvert les petites cosses, il y a deux ou 3 petites graines vertes applaties a l'interieur.
Re: Actuellement en foret, merci de votre aide
Les feuilles rappelent un peu le romarin mais en plus souple
- chiru
- Grossiste en parlotte
- Messages : 3722
- Inscription : ven. 27 févr. 2004 22:54
- Région : Champagne Ardenne
- Localisation : Ardennes
Re: Actuellement en foret, merci de votre aide
Après c'est qu'une hypothèse peut-être genista linifolia genet à feuilles de linJucoco38 a écrit : dim. 17 mai 2020 17:39 Les feuilles rappelent un peu le romarin mais en plus souple
Cordialement David.
http://l-herboriste.over-blog.fr/
http://l-herboriste.over-blog.fr/
- daniele 43
- Empereur jardinier
- Messages : 16796
- Inscription : sam. 07 mars 2009 17:30
- Région : Auvergne
- Localisation : Sibérie centrale de la métropole
Re: Actuellement en foret, merci de votre aide
Le Solanum est probablement sisymbrifolium
- chiru
- Grossiste en parlotte
- Messages : 3722
- Inscription : ven. 27 févr. 2004 22:54
- Région : Champagne Ardenne
- Localisation : Ardennes
Re: Actuellement en foret, merci de votre aide
Je connaissais pas celui-là faut que je le retienne merci Daniele comme d'habitude tu élargie mes connaissances
Cordialement David.
http://l-herboriste.over-blog.fr/
http://l-herboriste.over-blog.fr/
- Masa
- Grappe de parlotte
- Messages : 1636
- Inscription : dim. 17 mars 2019 20:02
- Région : Pays de la Loire
Re: Actuellement en foret, merci de votre aide
- daniele 43
- Empereur jardinier
- Messages : 16796
- Inscription : sam. 07 mars 2009 17:30
- Région : Auvergne
- Localisation : Sibérie centrale de la métropole
Re: Actuellement en foret, merci de votre aide
Cela dit , des Solanum épineux , ça ne manque pas
Que dire du terrible Solanum atropurpureum
Solanum atropurpureum (2)
Solanum atropurpureum (3) Ou encore du rigolo pyracanthum :
Solanum pyracanthum- BUGADE
- Seigneur des paquerettes
- Messages : 8747
- Inscription : jeu. 03 juin 2010 8:51
- Région : Languedoc Roussillon
- Localisation : Aude
Re: Actuellement en foret, merci de votre aide
Je n'ai pas suivit ce sujet par manque de connaissances et de temps.
Merci pour la découverte de S. Pyracanthum
Une splendeur.
Merci pour la découverte de S. Pyracanthum
Une splendeur.
À prendre les autres de haut, on tombe bien bas
- chiru
- Grossiste en parlotte
- Messages : 3722
- Inscription : ven. 27 févr. 2004 22:54
- Région : Champagne Ardenne
- Localisation : Ardennes
Re: Actuellement en foret, merci de votre aide
J'adore le dernier merci Daniele pour ces photos 


Cordialement David.
http://l-herboriste.over-blog.fr/
http://l-herboriste.over-blog.fr/
- Masa
- Grappe de parlotte
- Messages : 1636
- Inscription : dim. 17 mars 2019 20:02
- Région : Pays de la Loire
Re: Actuellement en foret, merci de votre aide
Le Solanum pyracanthum semble faire l'unanimité

Je crois que c'est le mur qui sonne creux
Re: Actuellement en foret, merci de votre aide
Merci beaucoup a tous. Ou je pense que tu as vu just egg pour le genista a feuille de lin. Voici une image tiré du net qui est tres ressemblante avec ce que j'ai vu, avec les fleurs en moins.
Re: Actuellement en foret, merci de votre aide
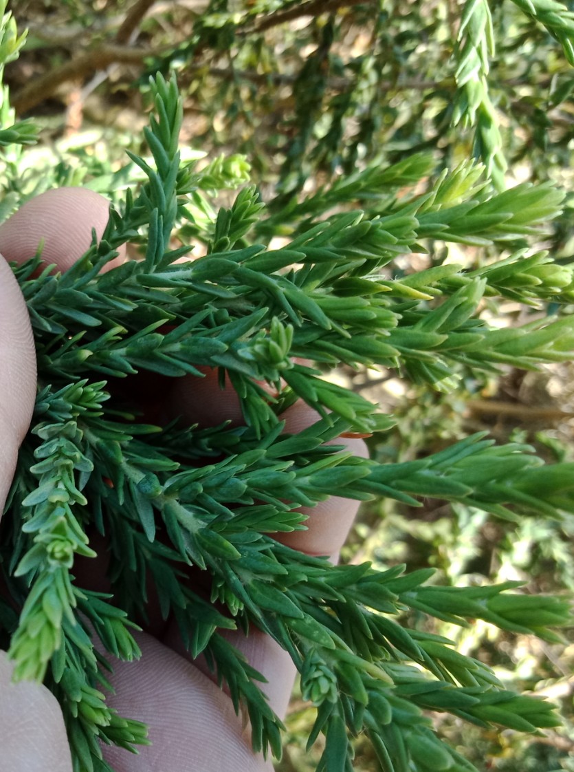
En voici encore 2 autres ( ou 3 ?? ) , toujours dans la meme foret.
- Masa
- Grappe de parlotte
- Messages : 1636
- Inscription : dim. 17 mars 2019 20:02
- Région : Pays de la Loire
Re: Actuellement en foret, merci de votre aide
Je dirais Juniperus pour le premier. Le second a des feuilles de Lamiacée, mais pas la fleur.
- chiru
- Grossiste en parlotte
- Messages : 3722
- Inscription : ven. 27 févr. 2004 22:54
- Région : Champagne Ardenne
- Localisation : Ardennes
Re: Actuellement en foret, merci de votre aide
Bonjour
Pour la seconde je dirais un ciste à feuille de sauge ça semble bien correspondre
Pour la seconde je dirais un ciste à feuille de sauge ça semble bien correspondre
Cordialement David.
http://l-herboriste.over-blog.fr/
http://l-herboriste.over-blog.fr/
- daniele 43
- Empereur jardinier
- Messages : 16796
- Inscription : sam. 07 mars 2009 17:30
- Région : Auvergne
- Localisation : Sibérie centrale de la métropole
Re: Actuellement en foret, merci de votre aide
Re: Actuellement en foret, merci de votre aide
Bonjour, merci pour les reponses. Pour le ciste effectivement c'est bien ca. Par contre pour le juniperus, je n'arrive pas à trouver la ressemblance.
Re: Actuellement en foret, merci de votre aide
Je vous en rajoute une nouvelle...
- BUGADE
- Seigneur des paquerettes
- Messages : 8747
- Inscription : jeu. 03 juin 2010 8:51
- Région : Languedoc Roussillon
- Localisation : Aude
Re: Actuellement en foret, merci de votre aide
Avec beaucoup de réserve,
Euphorbe pour la premiere, pour la seconde, Helichrysum ?
Euphorbe pour la premiere, pour la seconde, Helichrysum ?
À prendre les autres de haut, on tombe bien bas
Re: Actuellement en foret, merci de votre aide
Merci Bugade.
La deuxieme photo n'est pas une nouvelle plante mais seulement le genista a feuille de lin, que j'ai pu enfin voir avec des fleurs.
Pour l'euphorbe, je ne sais pas, les photos trouvées sur le net ne sont pas tres convaincantes mais si quelqu'un peut confirmer...
La deuxieme photo n'est pas une nouvelle plante mais seulement le genista a feuille de lin, que j'ai pu enfin voir avec des fleurs.
Pour l'euphorbe, je ne sais pas, les photos trouvées sur le net ne sont pas tres convaincantes mais si quelqu'un peut confirmer...
- BUGADE
- Seigneur des paquerettes
- Messages : 8747
- Inscription : jeu. 03 juin 2010 8:51
- Région : Languedoc Roussillon
- Localisation : Aude
Re: Actuellement en foret, merci de votre aide
J'ai précisé " avec beaucoup de réserve "
Il vaut mieux t'en remettre à daniele43 ou chiru.
Ils sont très forts
Il vaut mieux t'en remettre à daniele43 ou chiru.
Ils sont très forts
À prendre les autres de haut, on tombe bien bas
- chiru
- Grossiste en parlotte
- Messages : 3722
- Inscription : ven. 27 févr. 2004 22:54
- Région : Champagne Ardenne
- Localisation : Ardennes
Re: Actuellement en foret, merci de votre aide
Après oui l'euphorbe a première vu dans le genre euphorbe characias peut-être
Pour la deuxième oui un genista qui confirme les photos sans les fleur on commence a voir les fleurs typiques des légumineuses
Pour la deuxième oui un genista qui confirme les photos sans les fleur on commence a voir les fleurs typiques des légumineuses
Cordialement David.
http://l-herboriste.over-blog.fr/
http://l-herboriste.over-blog.fr/
- chiru
- Grossiste en parlotte
- Messages : 3722
- Inscription : ven. 27 févr. 2004 22:54
- Région : Champagne Ardenne
- Localisation : Ardennes
Re: Actuellement en foret, merci de votre aide
Merci BugadeBUGADE a écrit : mer. 20 mai 2020 17:35 J'ai précisé " avec beaucoup de réserve "![]()
Il vaut mieux t'en remettre à daniele43 ou chiru.
Ils sont très forts![]()
Moi ma spécialité c'est juste les plantes médicinales sauvages et la reconnaissance sur le terrain car sur photo j'ai pas mes repères habituels bon j'arrive des recoupements car j'ai appris l'identification sur photos avec Daniele et Hommenature mais mon domaine reste le terrain car par exemple la matricaire je la reconnais juste à l'odeur impossible de me tromper sur photos c'est moins évident
Cordialement David.
http://l-herboriste.over-blog.fr/
http://l-herboriste.over-blog.fr/
