Plante malade
- 
				Damien31400
- Bourgeon de bavard
- Messages : 389
- Inscription : mar. 14 mai 2019 21:52
- Région : Midi-Pyrénées
Plante malade
Bonjour,
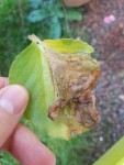
J'ai une plante placée à l'extérieur (d'ailleurs si quelqu'un pouvait me donner la variété) qui semble commencer à mal tourner, elle allait très bien il y a 2 semaines.
Certaines branches cassent très facilement, pareil pour les feuilles. Certaines sont noires avec une poudre blanche qui me fait penser à de l'oidium.
J'ai tout de même espoir car de nouvelles pousses sont apparues, notamment à la base du pied où il y en a pas mal.
			
			
									
																
						J'ai une plante placée à l'extérieur (d'ailleurs si quelqu'un pouvait me donner la variété) qui semble commencer à mal tourner, elle allait très bien il y a 2 semaines.
Certaines branches cassent très facilement, pareil pour les feuilles. Certaines sont noires avec une poudre blanche qui me fait penser à de l'oidium.
J'ai tout de même espoir car de nouvelles pousses sont apparues, notamment à la base du pied où il y en a pas mal.
- ancolie03
- Liseron du clavier
- Messages : 2299
- Inscription : jeu. 17 juil. 2014 21:08
- Région : Auvergne
Re: Plante malade
c'est un begonia peut-être dragon
très sensible au gel
il n'a pas gelé chez toi?
			
			
									
																
						très sensible au gel
il n'a pas gelé chez toi?
- 
				Nicole37n
- Prince du jardin
- Messages : 10178
- Inscription : ven. 13 avr. 2007 22:59
- Région : Poitou Charentes
- Localisation : Deux-sèvres
Re: Plante malade
C'est un bégonia mais lequel ? 
Ils n'aiment pas le froid humide, et il a eu une petite gelée je pense ce qui favorise le développement de champignons.
Couper ce qui est malade et le mettre dans un endroit sec et non chauffé, mais difficile à garder.
Quand j'en ai, je fais une bouture en septembre ou un dédoublement partiel avec racines pour rentrer à la maison, dans un endroit ensoleillé.
Sujet à l'odium.
			
			
									
													Ils n'aiment pas le froid humide, et il a eu une petite gelée je pense ce qui favorise le développement de champignons.
Couper ce qui est malade et le mettre dans un endroit sec et non chauffé, mais difficile à garder.
Quand j'en ai, je fais une bouture en septembre ou un dédoublement partiel avec racines pour rentrer à la maison, dans un endroit ensoleillé.
Sujet à l'odium.
Nicole
			
						- 
				Damien31400
- Bourgeon de bavard
- Messages : 389
- Inscription : mar. 14 mai 2019 21:52
- Région : Midi-Pyrénées
Re: Plante malade
Je pense que vous avez trouvé la réponse, merci beaucoup. 
Il a effectivement gelé 2 jours de suite mais il était un peu abrité par le toit. Par contre, c'est vrai qu'il a fait pas mal humide.
J'ai déjà coupé, je vais le placer au garage
			
			
									
																
						Il a effectivement gelé 2 jours de suite mais il était un peu abrité par le toit. Par contre, c'est vrai qu'il a fait pas mal humide.
J'ai déjà coupé, je vais le placer au garage
 
                
