Pêches et sève
-
Emmanuel1976
- Graine de timide
- Messages : 5
- Inscription : dim. 30 mai 2021 11:34
- Région : Provence Alpes Côte d'Azur
Pêches et sève
Bonjour.
J ai planté un pêcher il y a 4 ans. Il est magnifique, peu de cloque et beaucoup de petites pêches chaque années qui malheuresement n arrivent jamais à maturité. J ai toujours le même problème. De la sève sort des fruits et uniquement des fruits. Je doute vraiment que ce soit la gommes, l arbre est en pleine forme chaque année. Aucun problème sur le tronc ni les branches. Les fruits n ont pas de vers à l intérieur et j ai un piège a pheromone pour les tordeuse orientales. Je suis perdu, je ne comprends pas qu elle est cette maladie.
J ai planté un pêcher il y a 4 ans. Il est magnifique, peu de cloque et beaucoup de petites pêches chaque années qui malheuresement n arrivent jamais à maturité. J ai toujours le même problème. De la sève sort des fruits et uniquement des fruits. Je doute vraiment que ce soit la gommes, l arbre est en pleine forme chaque année. Aucun problème sur le tronc ni les branches. Les fruits n ont pas de vers à l intérieur et j ai un piège a pheromone pour les tordeuse orientales. Je suis perdu, je ne comprends pas qu elle est cette maladie.
-
campanule38
- Bourgeon de bavard
- Messages : 396
- Inscription : ven. 26 févr. 2021 14:25
- Région : Rhone Alpes
Re: Pêches et sève
Est-ce que tu as des symptômes particuliers sur les feuilles (trous - forme des trous si il y en a, jaunissement des extrémités, ...) ? Si tu retires la gomme sur les fruits, à quoi ressemblent les lésions ?
et ça évolue comment ? le fruit pourri ?
et ça évolue comment ? le fruit pourri ?
-
Emmanuel1976
- Graine de timide
- Messages : 5
- Inscription : dim. 30 mai 2021 11:34
- Région : Provence Alpes Côte d'Azur
Re: Pêches et sève
Merci pour ta réponse.
Si je retire la sève, les lésions sont presque invisibles, minuscules trou mais il semble que des taches foncées apparaissent sur la peau. Certains fruits sont piqués par la punaise, mais je suis persuadé que ce n est pas ce problème que j ai. Les fruits piqués par la punaise se déforment complètement et il n y en a que 3 ou 4 sur la centaine pêches qu il y a sur l arbre.
Les fruits ne pourrissent pas, ils tombent quand il font la taille d un citron vert.
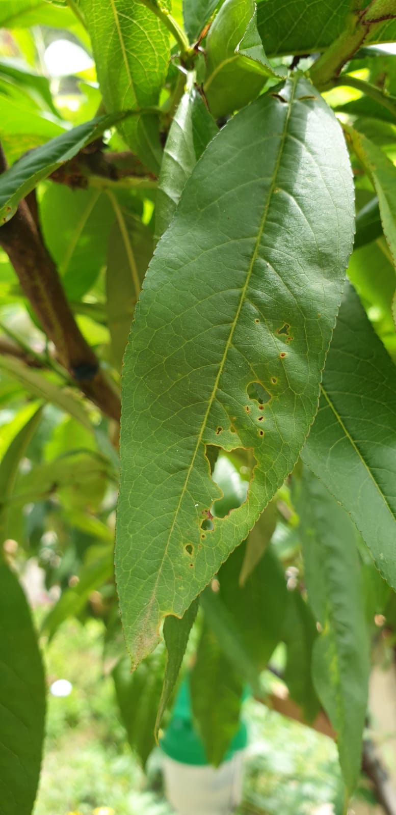
Les feuilles sont généralement saines bien que quelques une on des trous comme sur la photo en attachement avec de petites taches Juanes et marrons.
Photo de l arbre pour te donner une idée de sa forme générale
Si je retire la sève, les lésions sont presque invisibles, minuscules trou mais il semble que des taches foncées apparaissent sur la peau. Certains fruits sont piqués par la punaise, mais je suis persuadé que ce n est pas ce problème que j ai. Les fruits piqués par la punaise se déforment complètement et il n y en a que 3 ou 4 sur la centaine pêches qu il y a sur l arbre.
Les fruits ne pourrissent pas, ils tombent quand il font la taille d un citron vert.
Les feuilles sont généralement saines bien que quelques une on des trous comme sur la photo en attachement avec de petites taches Juanes et marrons.
Photo de l arbre pour te donner une idée de sa forme générale
-
campanule38
- Bourgeon de bavard
- Messages : 396
- Inscription : ven. 26 févr. 2021 14:25
- Région : Rhone Alpes
Re: Pêches et sève
J'aurais tendance à penser à du coyreum mais 100% des fruits qui tombent c'est un peu bcp... Tu es dans un coin très humide ? Est-ce que tu as ouvert des fruit avec un couteau au niveau du point de gomme ?
Est-ce que tu as des chancres sur les rameaux ? Des défeuillaisons précoces ?
Est-ce que tu as des chancres sur les rameaux ? Des défeuillaisons précoces ?
-
Emmanuel1976
- Graine de timide
- Messages : 5
- Inscription : dim. 30 mai 2021 11:34
- Région : Provence Alpes Côte d'Azur
Re: Pêches et sève
je n habite pas dans un endroit humide du tout, l arbre est plein sud, je récolte de délicieuses oranges chaque années, des clémentines, des citrons, kakis, amandes, pommes, cerises, et le pêcher ne me cause que des ennuis. Les fruits sont intactes à l intérieur, je n y comprends rien. J ai de la menthe au pied de l arbre et de la lavande pas loin pour faire fuir les punaises. il m arrive de vaporiser de l essence de menthe pour qu elles ne viennent pas, ça marche très bien. les feuilles mettent du temps à tomber, généralement en Décembre, le pêcher fleurit généralement fin Février debut Mars. Pas de chancres sur rameau, quand je taille mes arbres, j utilise toujours de l huile de colza avec bouillie bordelaise pour cicatriser.
-
campanule38
- Bourgeon de bavard
- Messages : 396
- Inscription : ven. 26 févr. 2021 14:25
- Région : Rhone Alpes
Re: Pêches et sève
Ben c'est bizarre une attaque de corynéum aussi sévère dans tes conditions... Les punaises, normalement il y a des traces quand tu ouvres les fruits (liège) ou des déformations. Il y a d'autres maladies qui génèrent des écoulement de gommes (genre le xanthomonas mais c'est un peu tôt pour voir les dégâts sur fruits je pense).
tu as peut-être plusieurs problèmes cumulés... un stress physiologique + des petites attaques de parasites qui génèrent des chutes physiologiques importantes... mais à 100 % encore une fois... Ceci dit avant la chute des fruits tu en as bcp (plus de 100 ?) ou moins de 10 ??
mais comme ça avec ce que tu rapportes je ne vois pas plus précis... Cette année il y a eu un gros gel un peu partout en France et on voit encore des fruits qui paraissaient sains tomber... Mais bon c'est un peu une particularité de l'année.
Huile de colza pas la peine d'utiliser pour cicatriser... c'est un anti-puceron principalement donc à positionner juste avant floraison (on ne dosant pas trop pour éviter la phytotoxicité) si problème de pucerons...
tu as peut-être plusieurs problèmes cumulés... un stress physiologique + des petites attaques de parasites qui génèrent des chutes physiologiques importantes... mais à 100 % encore une fois... Ceci dit avant la chute des fruits tu en as bcp (plus de 100 ?) ou moins de 10 ??
mais comme ça avec ce que tu rapportes je ne vois pas plus précis... Cette année il y a eu un gros gel un peu partout en France et on voit encore des fruits qui paraissaient sains tomber... Mais bon c'est un peu une particularité de l'année.
Huile de colza pas la peine d'utiliser pour cicatriser... c'est un anti-puceron principalement donc à positionner juste avant floraison (on ne dosant pas trop pour éviter la phytotoxicité) si problème de pucerons...
Re: Pêches et sève
Quelle est la variété ?
