Moniliose (sur cognassier) ou chancre?
- Porfi
- Graine de timide
- Messages : 91
- Inscription : dim. 11 mars 2007 3:48
- Localisation : Coteaux d'Aix
Moniliose (sur cognassier) ou chancre?
En surveillant un cognassier j'ai pu détecter ce type de maladie. C'est un sujet planté récemment qui semble déjà contaminé par la même maladie observable sur des cognassiers plus anciens et distants d'une quinzaine de mètres. Au final, les fruits sont pourris de l'intérieur.
S'agit-il de moniliose, ou bien d'autre chose? Je n'arrive pas à savoir.
Et, bien sur, existe-t-il un traitement?
Merci d'avance
S'agit-il de moniliose, ou bien d'autre chose? Je n'arrive pas à savoir.
Et, bien sur, existe-t-il un traitement?
Merci d'avance
-
opusoculi
- Seigneur des paquerettes
- Messages : 7991
- Inscription : jeu. 01 sept. 2011 1:26
- Région : Aquitaine
- Localisation : Gironde
Re: Moniliose (sur cognassier) ou chancre?
En cette saison le Monilia se manifesterait d'abord par un dessèchement des extrémités des rameaux.
La pourriture des fruits apparait à la surface et finit par des points gris quand c'est une moniliose.
Peut'on voir les boules ou réservoirs ou gales suspectes d'un peu plus près ou mieux éclairées ?
Sont-elles gélatineuses ou bien contiennent-elles des insectes ?
La pourriture des fruits apparait à la surface et finit par des points gris quand c'est une moniliose.
Peut'on voir les boules ou réservoirs ou gales suspectes d'un peu plus près ou mieux éclairées ?
Sont-elles gélatineuses ou bien contiennent-elles des insectes ?
Mes érables , printemps automne 2019. http://jalbum.net/a/1973986
Année 2018. http://jalbum.net/a/1974352
Année 2018. http://jalbum.net/a/1974352
- Porfi
- Graine de timide
- Messages : 91
- Inscription : dim. 11 mars 2007 3:48
- Localisation : Coteaux d'Aix
Re: Moniliose (sur cognassier) ou chancre?
Je peux faire un gros plan mais je suis limité par la taille maxi en pixels. Apparemment, pas d'insectes. Plutôt des genres de poils. J'ai un peu brulé celle qui est en bas au centre, c'est pourquoi j'ai grossi celle qui était à sa gauche. Mais si c'est un chancre, ce n'est pas le nectrien car en aucun cas cela ne ronge la branche jusqu'au centre.
Autre détail:
Autre détail:
-
opusoculi
- Seigneur des paquerettes
- Messages : 7991
- Inscription : jeu. 01 sept. 2011 1:26
- Région : Aquitaine
- Localisation : Gironde
Re: Moniliose (sur cognassier) ou chancre?
Je ne vois pas de maladie. Je peux me tromper mais il me semble que ce soit une particularité botanique de cette espèce de Cognassier , l'enveloppe du bourgeon s'écarte puis sèche et va tomber.
Est-ce un arbre acheté greffé ? Quelle est cette espèce ?
La pourriture des fruits ne me semble pas avoir son origine là.
Est-ce un arbre acheté greffé ? Quelle est cette espèce ?
La pourriture des fruits ne me semble pas avoir son origine là.
Mes érables , printemps automne 2019. http://jalbum.net/a/1973986
Année 2018. http://jalbum.net/a/1974352
Année 2018. http://jalbum.net/a/1974352
- Porfi
- Graine de timide
- Messages : 91
- Inscription : dim. 11 mars 2007 3:48
- Localisation : Coteaux d'Aix
Re: Moniliose (sur cognassier) ou chancre?
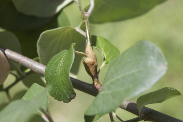
Je ne pense pas qu'il s'agisse du bourgeon, j'ai trouvé une autre protubérance, voici la photo:
On voit que ça inclut le pétiole de deux feuilles et que ça démarre après le début de la branche.
Il s'agit d'un arbre jeune, je ne sais pas s'il est franc ou greffé. Les vieux arbres, distants de quinze mètres sont francs à mon avis. À la fin, leurs fruits ressemblent à ça: Sur le sujet jeune c'est moins spectaculaire, mais les fruits sont gâtés.
Il s'agit d'un arbre jeune, je ne sais pas s'il est franc ou greffé. Les vieux arbres, distants de quinze mètres sont francs à mon avis. À la fin, leurs fruits ressemblent à ça: Sur le sujet jeune c'est moins spectaculaire, mais les fruits sont gâtés.
-
opusoculi
- Seigneur des paquerettes
- Messages : 7991
- Inscription : jeu. 01 sept. 2011 1:26
- Région : Aquitaine
- Localisation : Gironde
Re: Moniliose (sur cognassier) ou chancre?
Sur la deuxième photo c'est un fruit momifié (de l'an dernier). Il faut supprimer les fruits pourris à la fin de l'été car ils contiennent les spores du Monilia qui vont faire pourrir ceux de cette année sans exception (!).
Pour la grosseur (cette fois on la voit bien en effet) ; mais je n'ai pas de réponse. Je calle ...
J'en couperais un pour examiner l'intérieur
Pour la grosseur (cette fois on la voit bien en effet) ; mais je n'ai pas de réponse. Je calle ...
J'en couperais un pour examiner l'intérieur
Mes érables , printemps automne 2019. http://jalbum.net/a/1973986
Année 2018. http://jalbum.net/a/1974352
Année 2018. http://jalbum.net/a/1974352
- Porfi
- Graine de timide
- Messages : 91
- Inscription : dim. 11 mars 2007 3:48
- Localisation : Coteaux d'Aix
Re: Moniliose (sur cognassier) ou chancre?
Je vais voir ça, de toute façon, il faut que je la coupe.
Quand aux fruits de l'autre arbre, c'est bien du monilia, alors? La mauvaise nouvelle, c'est que ces arbres sont anciens et qu'ils doivent être infestés. Leurs troncs sont abimés et les sols devraient être nettoyés. Mais ce jardin est à ma mère et j'ai déjà suffisamment de boulot avec le mien. Je me demande s'il ne vaudrait pas mieux les couper. Cela dit, le monilia est un cryptogamme, non? Et ces organismes craignent les PH élevés. Peut-être qu'en pulvérisant de l'eau bicarbonatée...
Quand aux fruits de l'autre arbre, c'est bien du monilia, alors? La mauvaise nouvelle, c'est que ces arbres sont anciens et qu'ils doivent être infestés. Leurs troncs sont abimés et les sols devraient être nettoyés. Mais ce jardin est à ma mère et j'ai déjà suffisamment de boulot avec le mien. Je me demande s'il ne vaudrait pas mieux les couper. Cela dit, le monilia est un cryptogamme, non? Et ces organismes craignent les PH élevés. Peut-être qu'en pulvérisant de l'eau bicarbonatée...
-
opusoculi
- Seigneur des paquerettes
- Messages : 7991
- Inscription : jeu. 01 sept. 2011 1:26
- Région : Aquitaine
- Localisation : Gironde
Re: Moniliose (sur cognassier) ou chancre?
C'est bien du Monilia, un cryptogame tenace . Couper les arbres ? Comme tu y vas !Porfi a écrit :Je vais voir ça, de toute façon, il faut que je la coupe.
Quand aux fruits de l'autre arbre, c'est bien du monilia, alors? La mauvaise nouvelle, c'est que ces arbres sont anciens et qu'ils doivent être infestés. Leurs troncs sont abimés et les sols devraient être nettoyés. Mais ce jardin est à ma mère et j'ai déjà suffisamment de boulot avec le mien. Je me demande s'il ne vaudrait pas mieux les couper. Cela dit, le monilia est un cryptogamme, non? Et ces organismes craignent les PH élevés. Peut-être qu'en pulvérisant de l'eau bicarbonatée...
Le bicarbonate inhibe les spores mais seulement pendant quelque jours ... pour avoir un résultat Il faudrait en pulvériser toutes les semaines.
Heureusement le Monilia du Cognassier est spécifique de cet arbre et ne contamine pas les autres espèces de fruitiers.
Mes érables , printemps automne 2019. http://jalbum.net/a/1973986
Année 2018. http://jalbum.net/a/1974352
Année 2018. http://jalbum.net/a/1974352
- Porfi
- Graine de timide
- Messages : 91
- Inscription : dim. 11 mars 2007 3:48
- Localisation : Coteaux d'Aix
Re: Moniliose (sur cognassier) ou chancre?
Merci de ces infos. Après tout, une pulvérisation/semaine, si ça peut être une solution, au moins d'attente, ça ne me fait pas peur.
