des petites boules blanches [IDENTIFIEE]

Un coup de main pour identifier une plante que vous avez photographiée dans votre jardin, chez le voisin ou en vacances, c'est par ici !
Règles du forum
Nous vous recommandons d'être critique et très vigilant vis à vis des identifications notamment pour les champignons ou une confirmation par un pharmacien est recommandé. De par sa nature de forum, nous ne pouvons pas confirmer la validité des informations soumises.
Par ailleurs nous vous invitons à lire les tutos de ce forum avant toute demande d'identification. Merci
Avatar de l’utilisateur
chanterelle
Bourgeon de bavard
Messages : 117
Inscription : sam. 26 juil. 2008 18:05
Localisation : Suisse

des petites boules blanches [IDENTIFIEE]

Message par chanterelle »

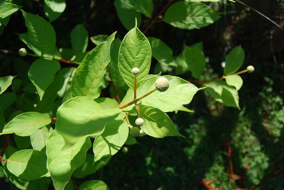
J'ai reçu cette plante il y a 2 ans, je l'ai plantée au jardin sans trop savoir ce que ça allait donner, et bien c'est très joli, vers le moi de juin elle forme des petites boules blanches qui grossissent et ensuite ces boules se transforment en fleurs blanches toujours en forme de boule.
Merci d'avance pour votre aide :o
Pièces jointes
juste les boules blanches
juste les boules blanches
plante buisson fleurs boules
plante buisson fleurs boules
Dernière modification par chanterelle le mar. 29 juil. 2008 14:23, modifié 2 fois.
http://chantalucerne.ch/
“Le bout du monde et le fond du jardin contiennent la même quantité de merveilles.”
Christian Bobin
Laurence MARIN

Re: des petites boules blanches

Message par Laurence MARIN »

Bonjour Chanterelle , pas de fausses joies, j'ai cherché vainement, car les feuilles me
disent quelque chose. J'espère que ma non réponse va en attirer d'autres plus instruc-
tives. Tu dis depuis 2 ans, l'hiver comment devient-elle, elle doit être caduc! Et ces
petites boules prennent-elles des couleurs? Celà nous avancerait peut-être dans nos
recherches.
Je vais suivre tes petites boules pour savoir!
Amicalement :D
Laurence :wink: :wink: :wink:
Avatar de l’utilisateur
chanterelle
Bourgeon de bavard
Messages : 117
Inscription : sam. 26 juil. 2008 18:05
Localisation : Suisse

Re: des petites boules blanches

Message par chanterelle »

Merci Laurence pour ton intérêt pour mes "petites boules" :?
Pour l'hiver je ne suis pas sure mais je crois qu'elle perd ces feuilles.

Pour le moment c'est un très joli petit buisson presqu'au fond du jardin mais je ne sais même qu'elle sera sa taille adulte!

voici 2 photos prisent à l'instant (je ne sais pas si ça peut aider)
Bon dimanche :top:
Pièces jointes
juillet 2008
juillet 2008
juillet 2008
juillet 2008
http://chantalucerne.ch/
“Le bout du monde et le fond du jardin contiennent la même quantité de merveilles.”
Christian Bobin
Avatar de l’utilisateur
zephirine
Pépinière à blabla
Messages : 2660
Inscription : jeu. 20 févr. 2003 11:23
Région : Rhone Alpes
Localisation : Nord-Isère

Re: des petites boules blanches

Message par zephirine »

Regarde du côté de Cephalanthus occidentalis
aussi appelé "Bois-Bouton"...
..et je crois que tu trouveras ton bonheur! :wink:
http://www.florarium.net/pl_st2/pl060/pl_s_6061.shtm
Zeph
Avatar de l’utilisateur
Hommenature
Prince du jardin
Messages : 9655
Inscription : ven. 01 oct. 2004 21:13
Région : Belgique
Localisation : Goegnies-chaussée (Hainaut Belgique)

Re: des petites boules blanches

Message par Hommenature »

Bonjour

Idem que Zepherine Cephalanthus occidentalis un bien joli arbuste encore peu courant dans les jardins et original en plus

Pascal
Consultant en Ecologie et Horticulture ornementale
Avatar de l’utilisateur
chanterelle
Bourgeon de bavard
Messages : 117
Inscription : sam. 26 juil. 2008 18:05
Localisation : Suisse

Re: des petites boules blanches

Message par chanterelle »

Merci Zeph,
C'est exactement ça, maintenant je réalise que la terre de mon jardin est peut-être trop calcaire d'où des feuilles un peu jaunes :|
Merci beaucoup :top:
http://chantalucerne.ch/
“Le bout du monde et le fond du jardin contiennent la même quantité de merveilles.”
Christian Bobin
Avatar de l’utilisateur
Hommenature
Prince du jardin
Messages : 9655
Inscription : ven. 01 oct. 2004 21:13
Région : Belgique
Localisation : Goegnies-chaussée (Hainaut Belgique)

Re: des petites boules blanches

Message par Hommenature »

Re

Le mien fait environ 2 m (autant en hauteur qu en largeur) il a envion 10 ans (mais déja recoupé au moins 2 fois)

Il est au nord dans un mélange sable et terreau sur fond argileux (humidité permanente)

C est un arbuste des marécages au départ, il supporte relativement mal la secheresse qu elle soit de l air ou du sol

Pascal
Consultant en Ecologie et Horticulture ornementale
Répondre

Revenir à « Identification d'une plante »